Filtry

Wybrane filtry:

0

Wyniki dla tagu:

konsultacje społeczne

Znaleziono 83 wyników

Aktualności

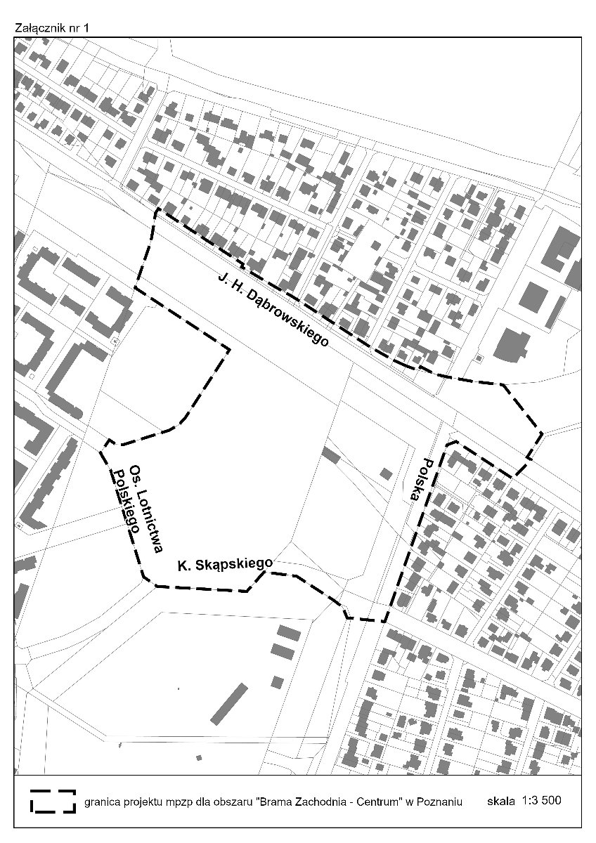
Mapa z konturami ulic i budynków z wyrysowanymi działkami wchodzącymi w granice mpzp

"Brama Zachodnia - Centrum" w Poznaniu, II etap, od 26 czerwca do 18 lipca 2025 r.

16.06.2025
Serdecznie zapraszamy na II etap konsultacji społecznych dotyczących projektu miejscowego planu zagospodarowania przestrzennego...
Czytaj artykuł
Na szaro-zółtym tle informacje o dacie, miejscu, tematyce i zaproszonych gosciach warsztatu oraz grafika przedstawijąca dziewczynkę z telefonem oraz chłopca przytulającego kota

Warsztaty World Café w ramach konsultacji społecznych dotyczących działań na rzecz stworzenia Miasta...

13.06.2025
We wtorek, 24 czerwca 2025 r. zapraszamy do udziału w warsztatach mieszkanki i mieszkańców Poznania.
Czytaj artykuł
Radosna rodzina

Współpraca na rzecz stworzenia Miasta Przyjaznego Dzieciom - możemy mieć wpływ!

11.06.2025
Twoje zdanie się liczy!
Czytaj artykuł
Grafika. Fragment mapy miasta.

W rejonie ulic Głuszyna i Ożarowskiej - I konsultacje

30.05.2025
Serdecznie zapraszamy do udziału w pierwszym etapie konsultacji społecznych dotyczących projektu miejscowego planu zagospodarowania...
Czytaj artykuł
Mapa pokazująca kontury ulic, zaznaczone są budynki.

Konsultacje mpzp w rejonie ulic Głuszyna i Ożarowskiej, I etap, od 30 maja do 20 czerwca 2025

23.05.2025
Serdecznie zapraszamy na I etap konsultacji społecznych dotyczących projektu miejscowego planu zagospodarowania...
Czytaj artykuł
Dzieci stoją przed białą tablicą, na której każdy coś dorysowuje.

Poznań chce być jeszcze bardziej przyjazny dzieciom

14.05.2025
Drogie młode poznanianki i poznaniacy, a także rodzice i opiekunowie - mamy dla Waz ważną wiadomość! Od 13 maja do 30 czerwca 2025 roku możecie wziąć...
Czytaj artykuł
Na różowym tle informacje dotyczące spotkania konsultacyjnego, dyżuru. Widać telefon ze zdjęciem działki, której dotyczą konsultacje

Konsultacje społeczne dotyczące zagospodarowania działki nr 38/65, zlokalizowanej pomiędzy ulicami...

12.05.2025
Serdecznie zapraszamy do udziału w konsultacjach społecznych dotyczących zagospodarowania działki nr 38/65, zlokalizowanej pomiędzy ulicami...
Czytaj artykuł
Zdjęcie - Lustrzana bryła kształtem przypominającą sylwetkę kobiety stojąca w parku.

Konsultacje społeczne dotyczące formy i lokalizacji pomnika upamiętniającego Wiedźmę z Chwaliszewa w...

08.05.2025
23 kwietnia 2025 r. rozpoczynają się konsultacje społeczne Wydziału Urbanistyki i Architektury dotyczące formy i lokalizacji pomnika upamiętniającego...
Czytaj artykuł
Wyświetlono 25-32 z 83 wyników